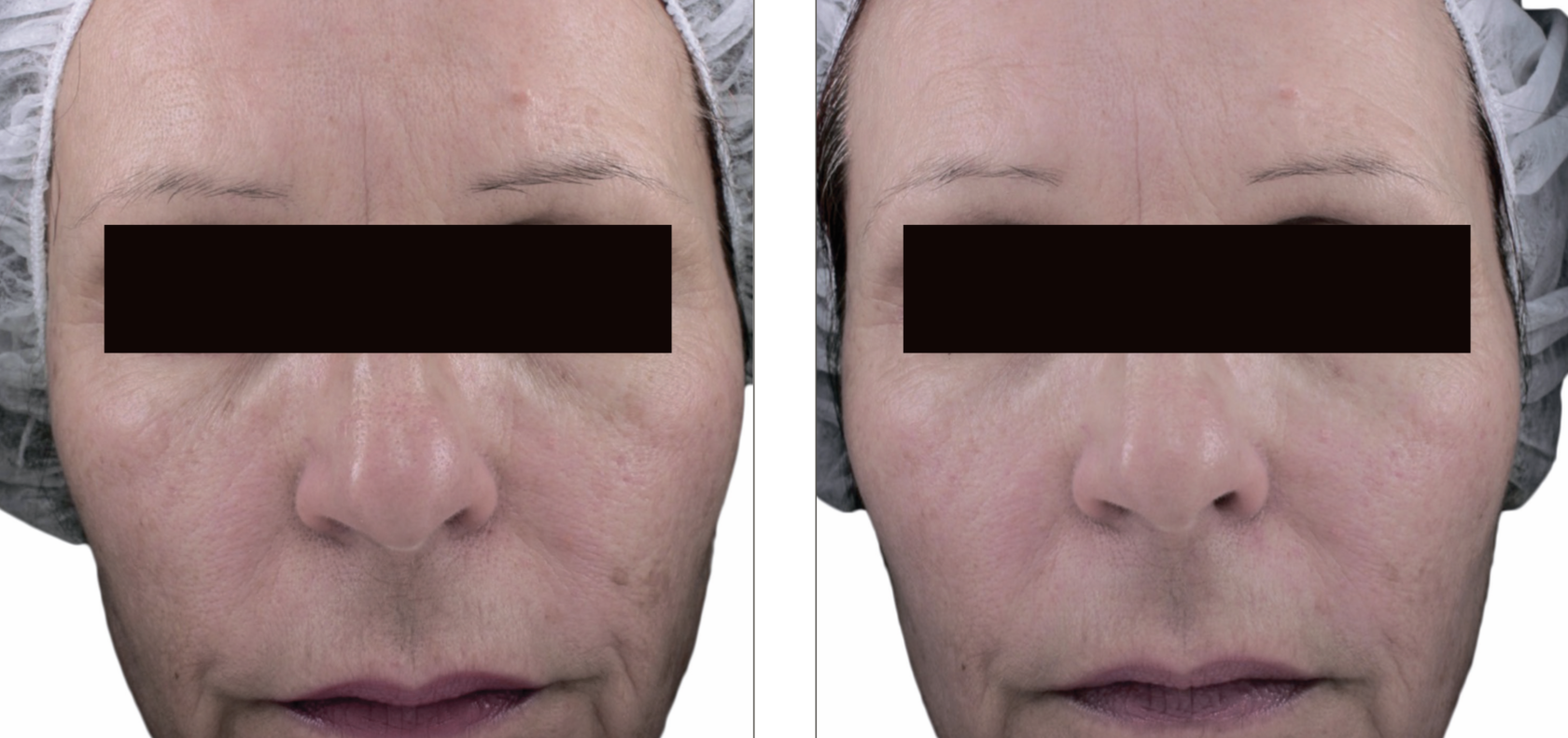
Рф Лифтинг Фото До И После
Рф Лифтинг Фото До И После 103 фото
Выбрать Цвет Волос По Фото Онлайн Бесплатно
Рисунок Города Фото
Скачать Фотографии Карнавал
Ушинский Фото
Авито Фото Объявление Подать Бесплатно
Фото На Аву В Вк Фри Фаер
Фото Мам 35 Лет
Наруто И Хината Милые Фото
Тату Тельца Для Девушек Фото
Добрый Субботний Вечер Картинки Красивые С Надписью





































































































