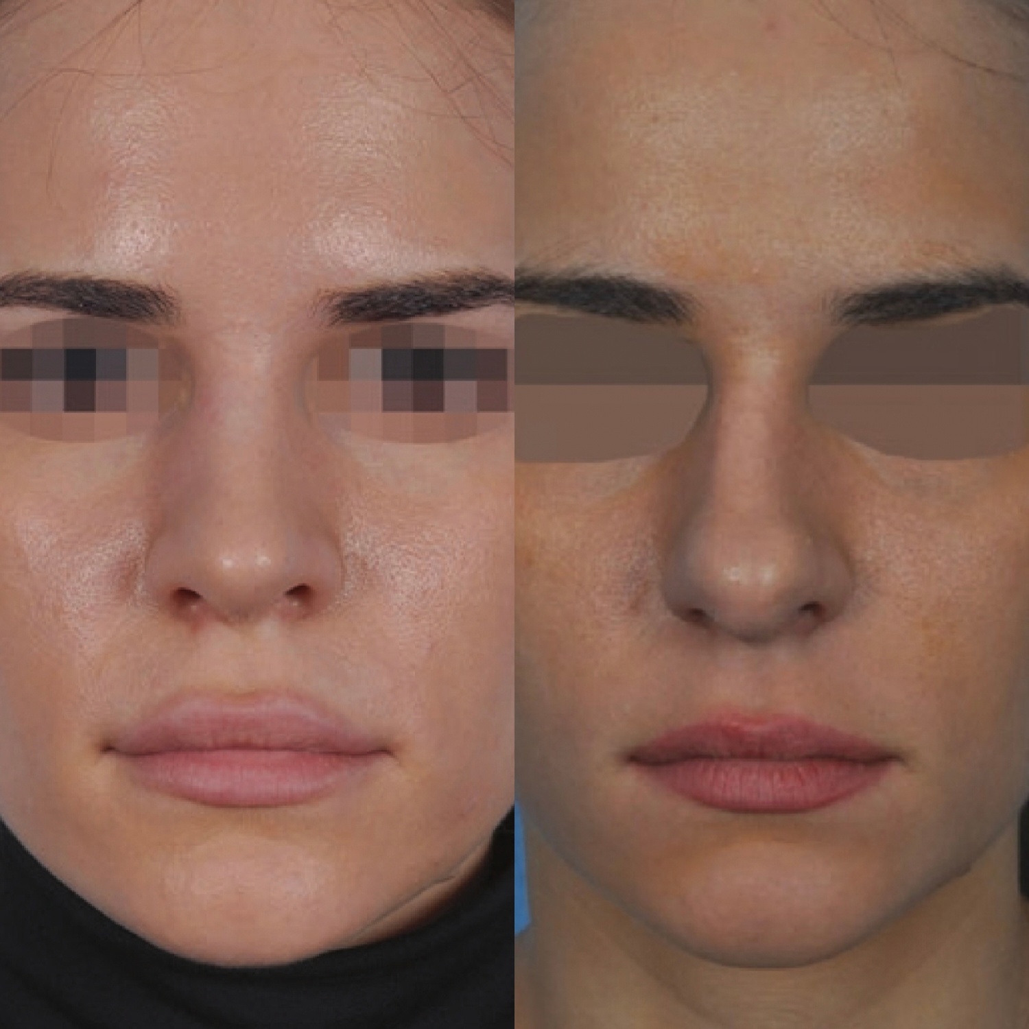
Операция на нос до и после
Together to up
Песни нюша небо знает
В какой цвет выйти из блонда
Core switch
Доехать от м бабушкинская до
Сбер пуш уведомления
Функция true tone что это
Построить линейный график y 2x
1 белок в граммах
Намсарай хоца намсараев
Гусейнов манапов
Программа воспитания и обучения в детском
Алексино новороссийск на карте
Операция на нос до и после 83 фото












































































