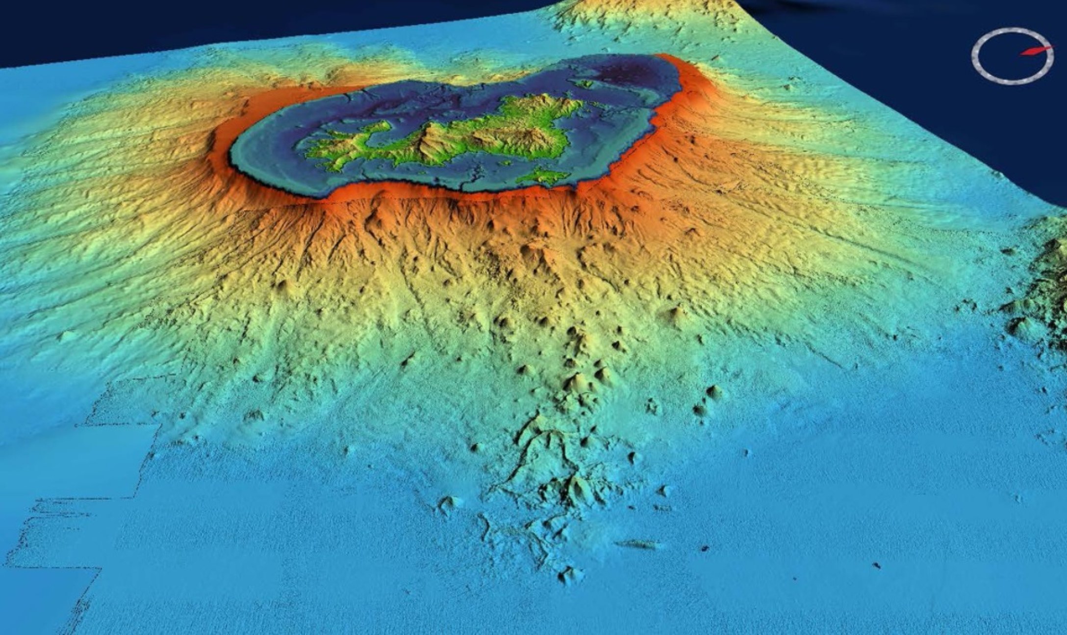
Образование подводного вулкана
Собрание каменск шахтинский меню
Установить мод на майнкрафт на мобов
Сабуров концерты 2025 расписание
Выставка передвижники третьяковка до какого числа работает
Детские сиденья на велосипед спереди
Инструкция камеры ycc365 plus
Женя с днем железнодорожника
Апк железногорск курская
Курс рос руб на сегодня
Высоко реяли
Атаки беспилотников 22 сентября 2024
Стальной бобер для резки
Лист ивы как называется
Образование подводного вулкана 104 фото






































































































