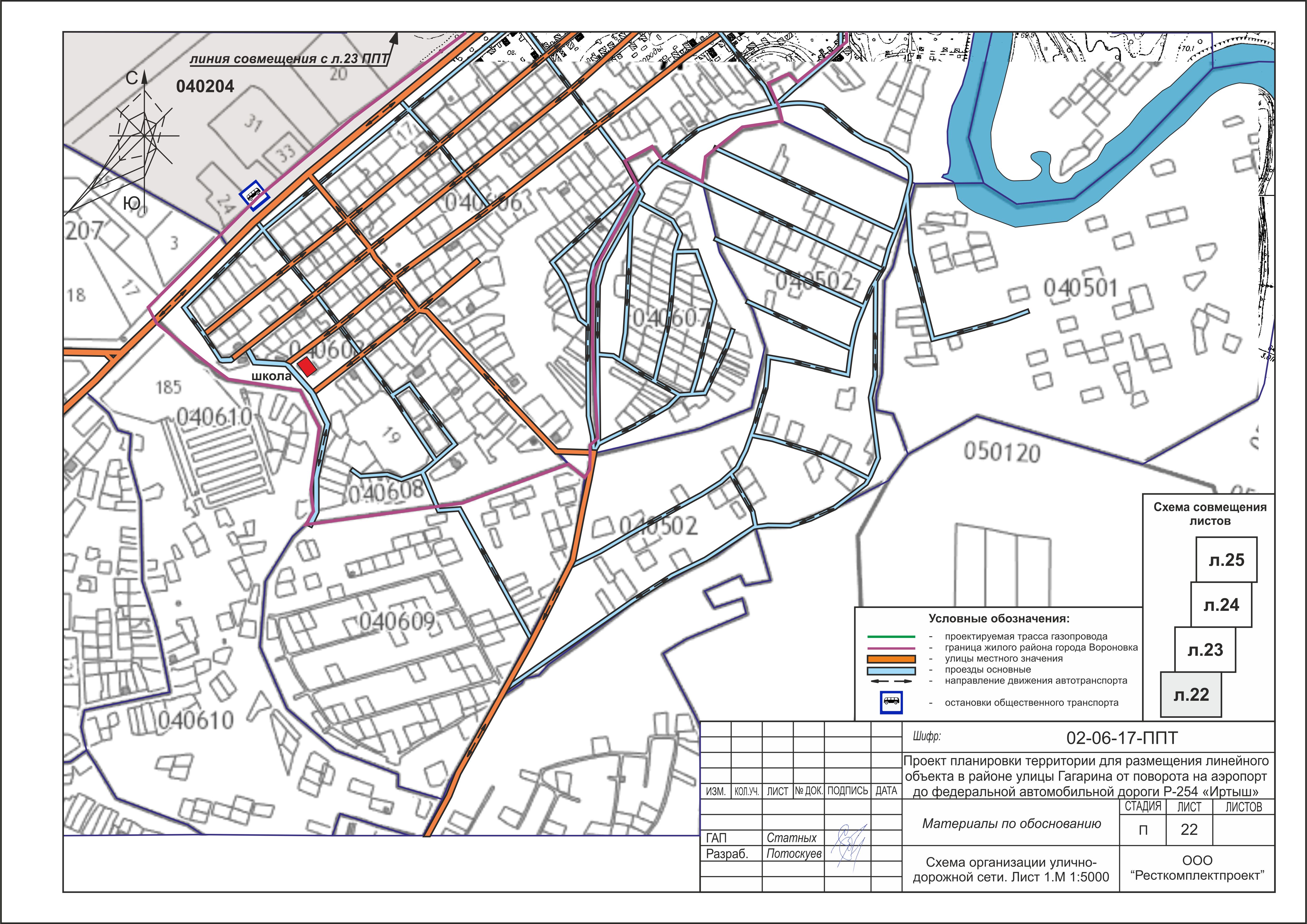
Межевание гагарина
Межевание гагарина 82 фото
Как получить скин soul knight
Сделать поделку на день рождение бабушке
История танков документальный
Циолковского д 22
Находят люди свои половинки
Налог на имущество организаций счет учета
Все московские государственные университеты
Новинки disco
Л н толстой юность главы
На что способен браузер с рекламой
















































































