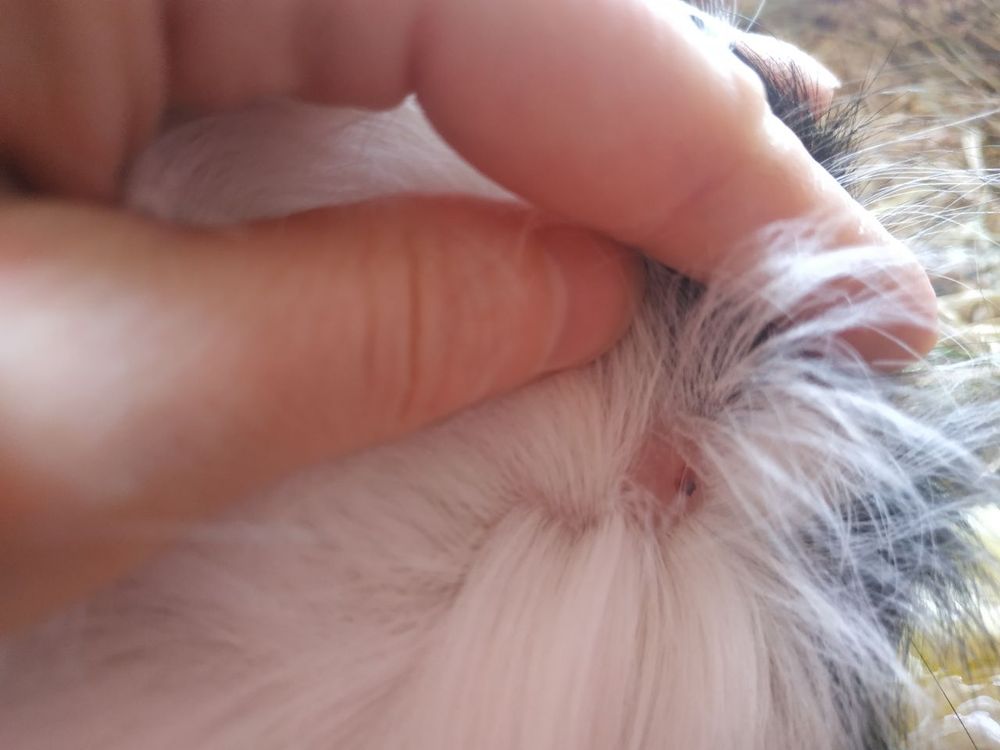
Лишай У Морской Свинки Фото
Денис Кузнецов Фото
Фото Нового Lx
Мегалодон Страшные Фото
Дизайн Крыльца В Брусовом Доме Фото
Гараж Алкогольный Напиток Фото
Фото Девушек В Горах
Мягкие Вафли Фото
Фотострана Сайт Знакомств Без Регистрации Фото Девушек
Цвета Радуги По Порядку Фото
Знакомства Без Регистрации С Фото Томск
Вкусное Блюдо Из Говядины Фото
Картинки На Аву Хочу
Фото Дома Где
Лишай У Морской Свинки Фото 115 фото
















































































































